【2026年・新年のご挨拶】年末年始の釣果報告と、お子様連れでも安心な「船べり」のこだわり
新年あけましておめでとうございます。
あまつりの船長です。
旧年中は、たくさんの素晴らしいお客様との出会いに恵まれ、心より感謝申し上げます。
本年も、皆様に天草の海の感動を安全にお届けできるよう、精一杯努めてまいります。
本年も宜しくお願い申し上げます。
目次
年末年始の営業に関するご報告とお詫び
まず初めに、この年末年始の営業につきまして大切なお知らせとお詫びがございます。
私事で恐縮ではございますが、昨年末に身内の不幸があり、急遽出船をキャンセルさせていただいた日がございます。
せっかくの休暇にご予約をいただき、楽しみにされていたお客様には、多大なるご迷惑をおかけしましたことを深くお詫び申し上げます。また、そのような状況の中、温かいお言葉をかけてくださった皆様、本当にありがとうございました。
特に、年1のご予約をいただいている関東からのお客様には本当にすいませんでした。
現在は通常通り営業を再開しております。本年も改めてよろしくお願いいたします。
12月、年末の釣果報告:落とし込みとテンヤで賑やかな海!

年末に出船できた日には、冬の天草らしい力強い魚たちが顔を見せてくれました。
当初狙っていたアジは少なめでした。また潮も悪く微妙な感じでしたが、苦しい感じでしたが何とか釣っていただくことはできました。
落とし込みで青物(ヤズ・ハマチ)がヒット!

御所浦方面で青物が釣れているという情報は得ていたたものの、遠方なので移動に時間がかかるためご案内を控えていたのですが、大物を釣ってみたいというお客様たっての希望もあり、ご相談の結果、行ってみることに。
エサとなる小魚を掛けてそのまま大物を狙う「落とし込み釣り」で、パワフルな青物がヒット!
強烈な引きに、船上は歓声に包まれました。
結果的には短時間で素晴らしい釣果に恵まれました。
大きな船団も出来ていましたし、三角や大矢野方面からも来ていたので、よっぽど状況よかったんですね。
大移動(片道40~50分)なので空振りした時のダメージが大きいのでお勧めはしていませんが、今回は結果的に大当たりでよかったです。
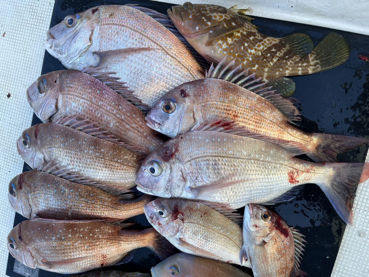
テンヤで真鯛・アコウなどの高級魚も

また、「テンヤ釣り」では、真鯛や、高級魚のアコウ(キジハタ)など、魚種が釣れました。
なかには初めて見るサイズの大型アコウも釣れたのですが、全体的に潮が渋すぎたので攻略法がつかめず、かなり苦戦しました。。
ご案内させていただいたお客様、あまり釣れず申し訳ございませんでした。
数釣りとはいきませんでしたが、少しでもお正月の食卓を彩るお土産になったと思っていただければ幸いです。
家族連れに「あまつり」が選ばれる理由:安全を守る高めの「船べり」

「冬の海は少し波が心配…」「子どもが海に落ちそうにならないかな?」
そんな不安をお持ちの親御様もいらっしゃると思います。
「あまつり」の船には、初心者やご家族連れに特化しているからこその「こだわり」があります。
それが、少し高めの「船べり(淵の部分)」です。
専門用語では「ブルワーク」と言いますが、当船はこの高さをお子様の膝の高さ程度まで確保しています。
- お子様が魚を釣る際、膝でしっかり体を支えられる(ホールドできる)
- 万が一、船が揺れても、掴まる場所がしっかりしている
- 囲いのような安心感があり、親御様も安心して自分の釣りに集中できる
「安全こそが一番のサービス」という信念のもと、元釣具屋の目線で、ご家族が安心して楽しめる船造りを心がけています。
今年も天草の海で最高の思い出を!
春先に向けては、水温が下がることで魚の身が締まり、個人的には一年で最も美味しい魚が釣れる時期だと思っております。
ベイトが多ければ落とし込みでのハラハラするような大物狙いや、テンヤでの高級魚狙いなど、冬ならではの楽しみ方がたくさんあります。
ただ、北風による「寒さ」と、「船の揺れ」との闘いになります。。。。
チャーター(貸切)船ですので、寒さが厳しい時は早めに休憩したり、ご家族のペースに合わせてスケジュールを調整したりすることも可能です。
2026年も、皆様と一緒に天草の海で最高の思い出を作れることを、心より楽しみにしております!
【おまけ】12月前半は「生きエビ」で良型の真鯛が連発でした

ちなみに、12月前半はタイのいいサイズがたくさん釣れました。
この日はポンポン釣れましたね~。
この日のお客様は、テンヤ釣りで「生きエビ」でした。普段は釣り具屋さんので価格や入荷状況、保管の関係を鑑みて、冷凍エビを推奨していますが、やはり生きたエビは釣れますね。違うんですね~やっぱり。
資金的に余裕がある方は「生きエビ」をお勧めします。
※M様、釣果写真の掲載遅れすみません。ありがとうございます。

天草で釣りを楽しむなら
あまつりへ!
ご質問などお気軽にお問い合わせください


